Tifone Tip, 12 ottobre 1979: il ciclone più intenso mai registrato con 870 hPa di pressione minima
Un record mondiale stabilito dal Tifone Tip nel Pacifico occidentale, misurato da un aereo della US Air Force in missione di ricognizione scientifica
di Angelo Ruggeri

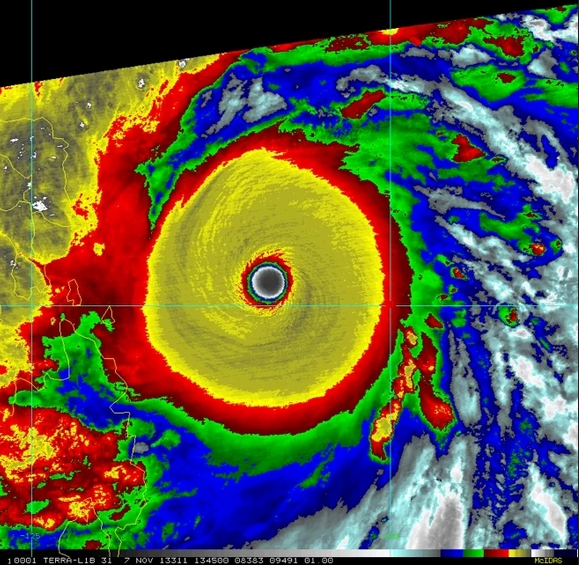
Il 12 ottobre 1979 è una data incisa nella storia della meteorologia mondiale: quel giorno, nel cuore dell’Oceano Pacifico occidentale, il Tifone Tip raggiunse una pressione minima al suolo di appena 870 hPa, il valore più basso mai misurato sulla Terra a livello del mare. La rilevazione fu effettuata da un aereo di ricognizione dell’aeronautica statunitense, che documentò un sistema ciclonico di potenza e dimensioni senza precedenti.
Tip non fu solo il più profondo, ma anche il più grande ciclone tropicale mai osservato: con un diametro di circa 2.200 chilometri, copriva un’area superiore a quella dell’intero Giappone. Al culmine della sua intensità, i venti massimi sostenuti toccarono i 305 km/h, rendendolo un colosso atmosferico capace di generare mareggiate e onde di straordinaria altezza nell’oceano aperto.
La tempesta colpì principalmente il Giappone , le Isole Caroline (un arcipelago nell’Oceano Pacifico nord-occidentale) e il territorio statunitense di Guam . Provocò forti venti, piogge torrenziali e inondazioni. Il bilancio delle vittime causato dal tifone fu limitato a meno di 100 persone.

Origine
Tip ebbe origine da un sistema di molteplici perturbazioni tropicali che si svilupparono nell’Oceano Pacifico occidentale nel settembre del 1979. Tre di queste perturbazioni si trasformarono in tifoni il mese successivo, uno dei quali si trasformò nel tifone Sarah e l’altro nella tempesta tropicale Roger. Mentre il tifone Sarah avrebbe causato quattro morti, danni all’agricoltura e problemi di sicurezza alimentare nelle Filippine , Roger tracciò innocuamente un percorso attraverso il Mar delle Filippine , dirigendosi inizialmente a nord-ovest e poi deviando verso nord-est per dissiparsi in un punto a sud del Giappone. Tip, la terza di queste perturbazioni, iniziò come una circolazione vicino a Pohnpei, nelle Isole Caroline, intorno al 4 ottobre.
Come è diventato un tifone
La tempesta tropicale Tip è passata a circa 45 km a sud di Guam il 9 ottobre senza incidenti, portando 230 mm di pioggia. Quaranta aerei della base aerea di Andersen sull’isola hanno sorvolato la tempesta per osservarne la crescita e l’intensità, rendendola una delle tempeste meglio documentate mai registrate.
Il tifone ha proseguito lungo una rotta ovest-nordovest e ha incontrato una divergenza di livello superiore favorevole alla sua crescita. Ha raggiunto lo status di tifone subito dopo aver superato Guam. Le condizioni atmosferiche lungo la traiettoria del tifone hanno continuato a favorirne la crescita, e ha rapidamente raggiunto livelli da super tifone (raggiungendo velocità massime del vento di circa 150 miglia, o 241 km all’ora) tra il 9 e l’11 ottobre. Ha stabilito il record per il più grande ciclone tropicale mai osservato, con un diametro di circa 1.380 miglia (2.220 km), un’estensione maggiore della metà della distanza che attraversa l’ Australia continentale da est a ovest. Il 12 ottobre la tempesta ha raggiunto la massima intensità con venti sostenuti di 190 miglia (306 km all’ora) e una pressione al livello del mare centrale di 870 millibar, la pressione più bassa mai misurata in un ciclone tropicale.

Approdo e impatto
Il tifone Tip si è gradualmente indebolito mentre curvava verso nord, in parte sotto l’influenza di una depressione proveniente dalla Cina che si muoveva verso est , e poi verso nord-est, avvicinandosi al Giappone. Il 19 ottobre ha toccato terra sull’isola giapponese di Honshu , vicino alla prefettura di Shizuoka, con venti ridotti a circa 130 km/h.
Il nome di un ciclone, uragano o tifone particolarmente traumatico viene solitamente ritirato, il che significa che non può essere utilizzato per un’altra tempesta. Nonostante l’impatto distruttivo del tifone Tip, il suo nome non è stato ritirato perché il bilancio delle vittime è stato relativamente basso, e altri tre tifoni – nel 1983, 1986 e 1989 – sono stati chiamati Tip prima che il nome venisse ritirato nel 1989.
Sebbene Tip abbia perso forza al momento del contatto con la costa, le sue dimensioni hanno causato danni su vasta scala mentre attraversava il Giappone a una velocità laterale di 78 km/h. Ha portato forti piogge, inondazioni e frane, danneggiando migliaia di case. La tempesta ha causato oltre 600 frane nella prefettura di Nagano , un’area prevalentemente rurale. Ciò ha causato 42 morti nella regione e ha allagato 22.000 case. L’agricoltura e la pesca giapponesi hanno subito gravi danni, con perdite per milioni di dollari. I forti venti hanno causato una perdita di carburante e un incendio a Camp Fuji , una base militare statunitense vicino a Yokosuka, uccidendo 13 soldati statunitensi.
Si segnalano meno di 100 vittime causate dal tifone Tip, di cui 42 in Giappone. Si sa che otto navi sono state danneggiate durante il passaggio di Tip e almeno 44 pescatori sono stati dichiarati morti o dispersi.
Il sistema di tempeste si è ridotto durante il suo passaggio attraverso il Giappone. È diventato un ciclone extratropicale (un fenomeno meteorologico ad alta latitudine generalmente più debole di un ciclone tropicale) con venti di circa 90 km orari e si è spostato a est della penisola di Kamchatka dopo il 21 ottobre. Si è dissipato nei pressi dell’Alaska il 24 ottobre.